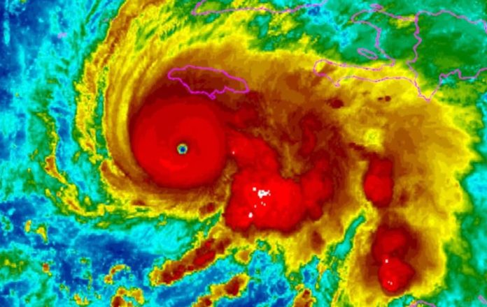
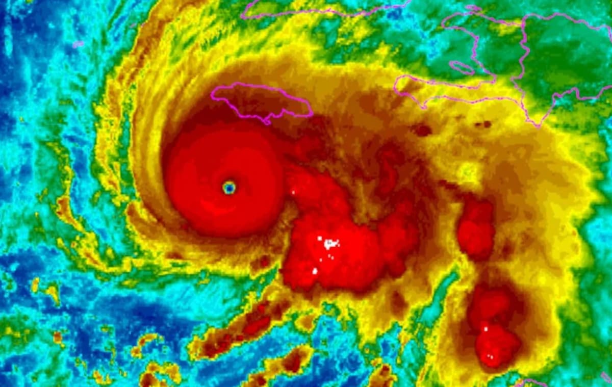
El huracán Melissa tocó tierra en Jamaica el martes como categoría 5, con vientos feroces de hasta casi 300 kilómetros por hora y lluvias torrenciales, lo que lo convirtió en la tormenta más poderosa que jamás haya golpeado la isla caribeña desde que se tienen registros.
Para comprender las consecuencias materiales de este desastre natural, LN+ dialogó con el meteorólogo Enzo Campetella, quien manifestó que: “Estos fenómenos hacen retroceder el PBI de muchos países hasta una década”.
“Melissa es uno de los huracanes más potentes en la historia del Atlántico”, sostuvo Campetella. “Generalmente, los huracanes como este se arman desde ondas que vienen de África, pero este se desarrolló mas sobre las Antillas”, explicó.
Para contextualizar la intensidad del fenómeno, Campetella dijo: “En la Patagonia tenemos vientos de 120 km/h que no te permiten estar parado, pero son ráfagas. En este caso estamos hablando de vientos sostenidos que tocaron la franja de los 320 km/h”.
“A su vez, la mayoría de los huracanes se debilita cuando llega la costa, pero con Melissa todo lo contrario: se intensificó”, detalló el especialista.
Consultado sobre los decesos que provocan estos fenómenos, el meteorólogo apuntó: “Los daños asociados a muertes de personas no son tanto por los vientos, sino las lluvias. En varios sectores de Jamaica, el paso de Melissa puede dejar acumulados de hasta 1000 mm en las próximas 36 horas».
En palabras de Campetella, “otro punto para analizar es la marejada ciclónica, porque la presión en el centro del huracán baja tanto que se forma una montaña de agua enorme».
“Lo digo más simple: cuando pasa un huracán como Melissa, el nivel del mar llega al nivel de un edificio de dos pisos, sin sumarle el oleaje. Todo eso junto da como resultado una destrucción incalculable”, clarificó el meteorólogo.
“Por estas horas, la mayoría de las imágenes que vemos fueron registradas por cámaras que aun funcionaban, pero cuando esto termine, ahí recién vamos a ser conscientes del real daño que dejó el huracán Melissa”, concluyó Campetella.
