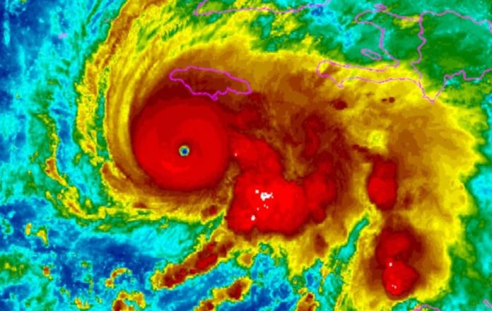
El huracán Melissa tocó tierra este martes en Jamaica como una tormenta catastrófica de categoría 5, la más fuerte que golpeó la isla desde que comenzaron a llevarse registros hace 174 años, con vientos sostenidos que rompieron el umbral de los 320 kilómetros por hora.
En la madrugada del miércoles llegó a la zona este de Cuba, con epicentro en Guantánamo, donde se debilitó y pasó a categoría 3. Autoridades señalaron que el número de evacuados en ciudades como Santiago de Cuba y Holguín asciende a 735.000 personas.
Meteorólogos coinciden en que los daños materiales del huracán Melissa “son incalculables”.
En declaraciones a medios locales, Emmanuel Pierre, director de operaciones del Centro Nacional de Emergencias de Haití, manifestó que: “La cifra provisional de fallecidos asciende a 20, hay 10 desaparecidos y cuantiosos daños materiales. La búsqueda continúa”.
El presidente de EE.UU., Donald Trump, dijo el miércoles que su administración está “preparada para avanzar” para enviar ayuda humanitaria a Jamaica, en medio de la devastación causada allí por el huracán Melissa.
“Sobre una base humanitaria, tenemos que hacerlo”, dijo el mandatario a los periodistas durante su viaje a Asia. “Lo estamos observando de cerca, y estamos preparados para movernos, porque está haciendo un daño tremendo”, concluyó Trump.
Tras azotar una porción importante del Caribe atlántico, las ráfagas de viento y la intensidad de la lluvia menguaron su potencia, aunque los alertas se mantienen activos.
En el último reporte del CNH, los vientos máximos sostenidos se posicionaron en 165 km/h, rotando en dirección norte-noreste a 22 km/h.
Al menos diez personas murieron en Haití por las inundaciones provocadas por el huracán Melissa, que lleva varios días azotando la región del Caribe, según detalla la agencia AFP. Como consecuencia, el río La Digue se desbordó y arrastró a varios habitantes de la ciudad sureña de Petit-Goave.
Según el intendente de la población y el director general de un hospital local, además de haber encontrado una veintena de cuerpos, se busca a un número indeterminado de desaparecidos.
El Centro Nacional de Huracanes estadounidense (CNH, por sus siglas en inglés) apuntó este miércoles que, luego de su paso por Cuba, el huracán continuará su curso por Bahamas hasta acercarse, el jueves, a Bermudas.
Las previsiones indican que el fenómeno natural irá descendiendo su potencia según avancen los días.
Habitantes de Holguín, al este de Cuba, compartieron en redes sociales algunas imágenes del paso del huracán Melissa por esa ciudad.
La Organización de las Naciones Unidas (ONU) publicó en sus redes sociales el envío de asistencia para los países del Caribe afectados por el paso del huracán Melissa.
Además de Jamaica y Cuba, el huracán Melissa también provocó destrozos en Haití, Panamá y República Dominicana. A las personas fallecidas y daños materiales, se le sumaron los problemas estructurales, principalmente la escasez de agua potable y las interrupciones en el servicio de luz.
“Será una noche muy difícil para toda Cuba, pero nos vamos a recuperar”, escribió en la red social X el presidente Miguel Díaz-Canel.
El poderoso huracán Melissa tocó tierra en el este de Cuba este miércoles con vientos máximos sostenidos de 195 km/h, después de haberse debilitado a categoría 3 tras asolar Jamaica con violentas ráfagas y lluvias torrenciales.
El Centro Nacional de Huracanes estadounidense (CNH, por sus siglas en inglés) calificó el huracán de “extremadamente peligroso”. “Melissa tocó tierra en la provincia de Santiago de Cuba, cerca de la localidad de Chivirico”, señalaron desde el organismo.
Las autoridades cubanas informaron que unas 735.000 personas fueron evacuadas, sobre todo en las provincias de Santiago de Cuba, Holguín y Guantánamo
